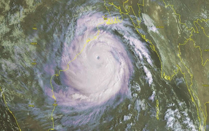
موقع ArabiaWeather.com- اسامة الطريفي- بعد أن وصل الاعصار " فيلين " يوم الأمس الى الدرجة الخامسة والتي تعتبر أقوى أنواع الأعاصير والتي تترافق عادة برياح عايتة ومدمرة بالاضافة الى أمطار طوفانية ، تثظهر صور الاقمار الاصطناعية صباح اليوم السبت بأن الاعصار "فيلين " بدأ بالاقتراب أكثر وأكثر من السواحل الشرقية للهند واليابسة .

وعلى بعد ساعات فقط من الإعصار الهائل لا تزال السلطات الهندية في حالة استنفار تامة وتعمل بشكل متواصل لإخلاء أكبر عدد ممكن من المواطنين في المناطق الأكثر عرضة لأن يضربها الإعصار بشكل مباشر في محاولة لتقليل الخسائر الى أقل عدد ممكن.

وبعد وصول الاعصار الى الدرجة الخامسة يخشى المُختصون في موقع طقس العرب بأن يؤدي الإعصار الى حدوث خسائر كبيرة وكارثية ، فطريقة تشكل الاعصار وقوته بالاضافة الى صور الاقمار الاصطناعية الواردة حالياً توضح بأن السواحل الشرقية للهند ستعيش ليلة السبت ساعات حرجة جداً ، فهذا الإعصار الى حد الآن يشبه بشكل كبير الاعصار كاترينا المدمر الذي ضرب الولايات المتحدة الأمريكية عام 2005 وعمل على حدوث خسائر هائلة .
ويتوقع موقع طقس العرب بأن تتراجع قوة الإعصار من الدرجة الخامسة ( أعلى درجة ) الى درجات أقل سرعان ما يضرب اليابسة ، لكن هذا لن يمنع الإعصار من يؤدي الى حدوث أضرار هائلة هناك.
نسأل الله أن يمر هذا الاعصار بأقل خسائر ممكنة .
Arabia Weather App
Download the app to receive weather notifications and more..